El canal internacional
de noticias en español
más visto en el mundo
En vivo
Noticias
Viral
Programas
Programas
RT reporta
Ahí les Va
Conversando con Correa
Cartas sobre la mesa
Documentales
El África de Lumumba
El Zoom
ZOOM+
Entrevista
Impacto Directo
La lista de Erick
Opinión
Multimedia
Multimedia
Videos
Promo
Osografía
Equipo de RT
Véanos en TV
Véanos en TV
Esp
Br
Ar
De
En
Esp
Fr
Rs
Ru
"Provocación que amenaza la soberanía": Caracas reacciona al sobrevuelo de aeronaves de combate de EE.UU.
Jamaica
Portada
Jamaica
Muere exconcursante de Miss Universo a los 26 años
EE.UU. lanza uno de sus planes más ambiciosos para contener la superioridad china en los mares
El legendario boxeador Mike McCallum muere mientras se trasladaba a su gimnasio
Un 'tiktoker' es asesinado en pleno en vivo (VIDEO)
El plan de EE.UU. para combatir "el crimen transnacional" en Jamaica
Marco Rubio se lanza a la 'conquista' del Caribe
Cuba en alerta ante la llegada del huracán Rafael que tocará tierra este miércoles
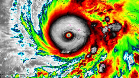
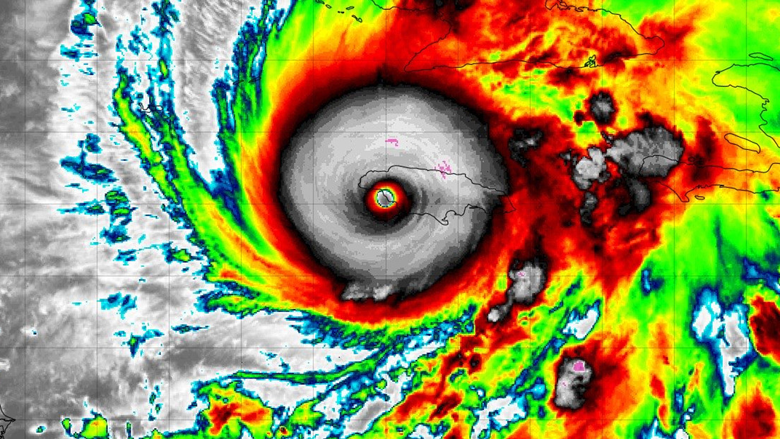
Jamaica, bajo amenaza de tormenta tropical
Balacera en medio de un partido de fútbol en Jamaica deja cinco muertos
Soldados y policías jamaicanos se suman a misión de la ONU para combatir pandillas en Haití
El huracán Beryl azota el sur de Jamaica y avanza hacia las Islas Caimán
Huracán Beryl azota Jamaica con fuertes vientos y lluvias abundantes (VIDEOS)
Venezuela suma su tercera victoria consecutiva y avanza a cuartos de final de la Copa América
Atleta de 16 años pulveriza un récord de Usain Bolt de hace 22 años (VIDEO)
Canadá envía militares a Jamaica para entrenar a las fuerzas de Caricom
Jamaica acoge conferencia urgente del Caricom para tratar la situación en Haití
Jamaica podría reclamar a Gran Bretaña el pago de reparaciones por esclavitud
Oposición canadiense critica las vacaciones de Trudeau en Jamaica en medio de problemas económicos
RT en Español en vivo - TELEVISIÓN GRATIS 24/7
Lo más popular
VIDEO: Un pescador abre un agujero en el lago Baikal sin saber quién le esperaba en las profundidades
2 oct 2025 | 14:37 GMT
Putin explica las consecuencias si EE.UU. envía misiles Tomahawk a Ucrania
2 oct 2025 | 18:15 GMT
VIDEO: Macron 'abofetea' al primer ministro albanés
2 oct 2025 | 13:08 GMT
Putin: "¿Rusia quiere atacar a la OTAN? No se puede creer en esta tontería"
2 oct 2025 | 15:46 GMT
Caracas denuncia que cinco aviones de combate de EE.UU. sobrevolaron el espacio aéreo venezolano
2 oct 2025 | 18:17 GMT
Osografía
¿Tigre de papel… o pájaro de papel?